• Home
  • Profile
  • Services
    • Completed Construction Projects
    • Design Works
    • Plotplan Approvals
      • Building approval
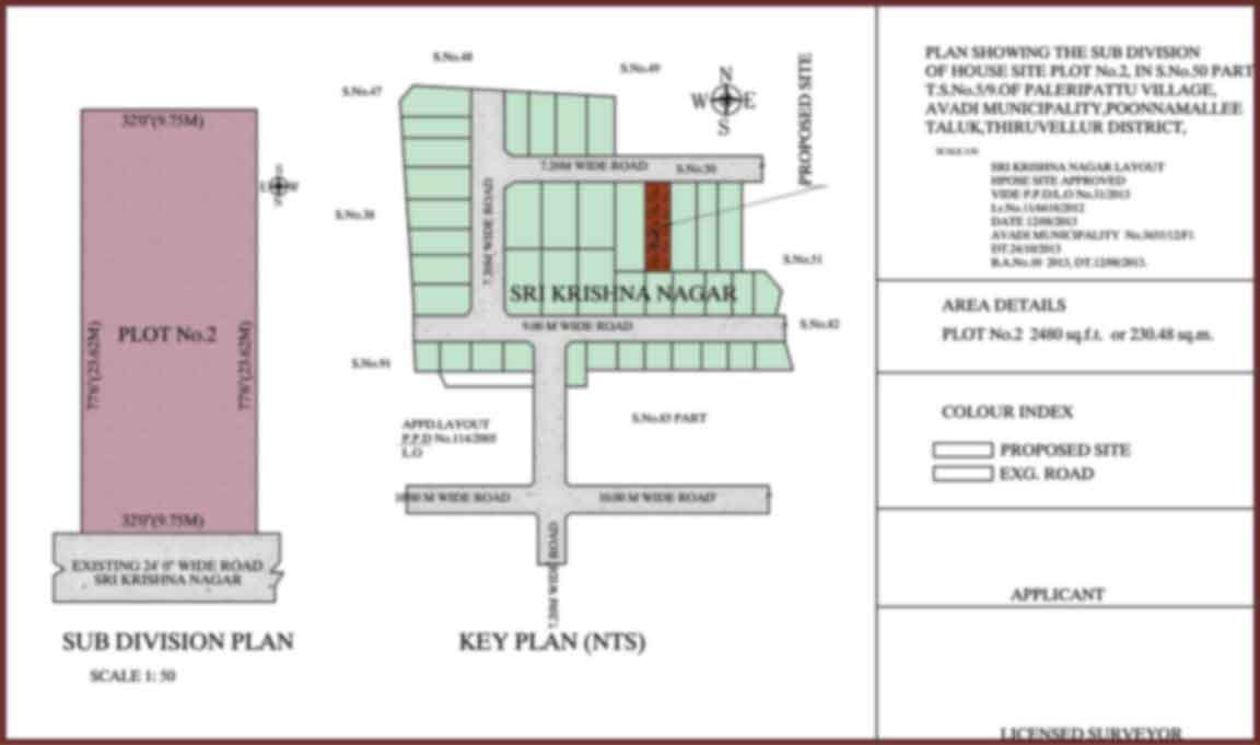
      • plot sub-division
  • Gallery
  • Interior
  • Contact

plot sub-division


  • ayanambakkam1
  • medavakkam-1-jaisankar
  • medavakkam-2
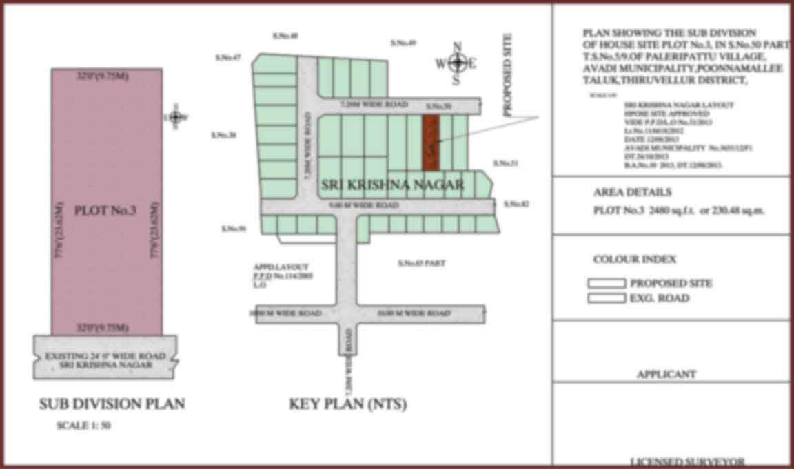
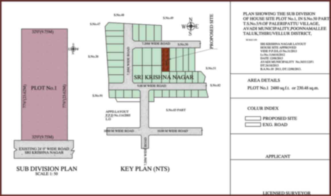
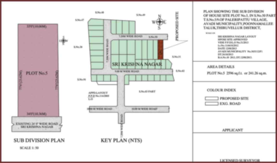
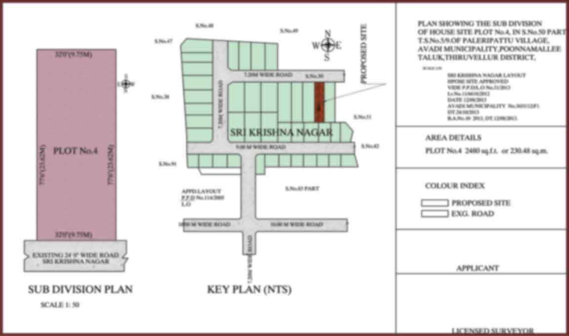
  • paleripattu
  • poonamallee--block-A_B

Address

# 12, Shree Virutchham, Ground Floor, Kamakodi Nagar, 1st Main Road, Valasaravakkam, Chennai - 87.

Phone

+91 93810 23163
+91 91762 84004

Email us

info@edjassociate.com
edjassociates@gmail.com

Designed by

↑